2025-01-01から1年間の記事一覧

トイ・プードルの膝蓋骨外方脱臼に対する整復術

今回はトイ・プードルの膝蓋骨外方脱臼のお話です。 2ヶ月齢で初めて受診され、足に力が入りにくいという症状でしたが、2ヶ月後には両後肢で起立不能の状態になりました。 膝蓋骨の外方脱臼によるもので、当初は指で整復できましたが、経過とともに骨の成…

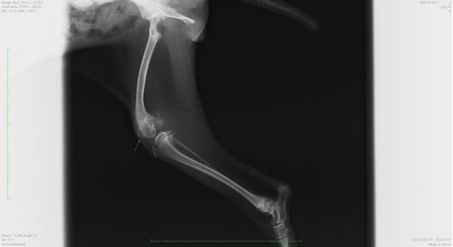
トイ・プードルの橈尺骨骨折に対するプレーティング

今回はトイ・プードルの橈尺骨骨折の手術のお話です。 8ヶ月の子で転倒してから左前肢の完全挙上で他院より紹介で来院されました。 レントゲン画像から橈骨・尺骨の2本とも骨折していることがわかります。 横から撮影したレントゲン画像 上から撮影したレ…

チワワの膝蓋骨内方脱臼に対する整復手術

今回は膝蓋骨内方脱臼のお話です。 症例は1歳のチワワちゃんで右後肢跛行を主訴に来院されました。 この子の右の膝蓋骨は完全に内方に変位しており、正中に整復することはできませんでした。 膝蓋骨内方脱臼のグレードⅣ(4段階のグレードで1番悪い)と診…

小型犬の前十字靭帯断裂に対するTPLO

今回は前十字靭帯断裂の手術のお話です。 9歳の雑種犬(チワワ×プードル)で左後肢の跛行で来院されました。 触診とレントゲン写真で前十字靭帯断裂と診断しました。 左後肢の脛の骨が右足と比べて前方に変位しているのがわかります。 前十字靭帯断裂の治療…